Kangaroo

Imágenes
Tipo
Sexo
Macho
F.Nacimiento
Tamaño
Pequeño (5 - 10 kg)
Raza
Situacion
Adoptado
Localidad

Hacer donación mediante PAYPAL

 

Utiliza la opción "Familiares y amigos" para evitar comisión.

Historia

Este es Kangaroo fue dejado en perrera. Al saber de su caso, no podíamos dejarlo allí.

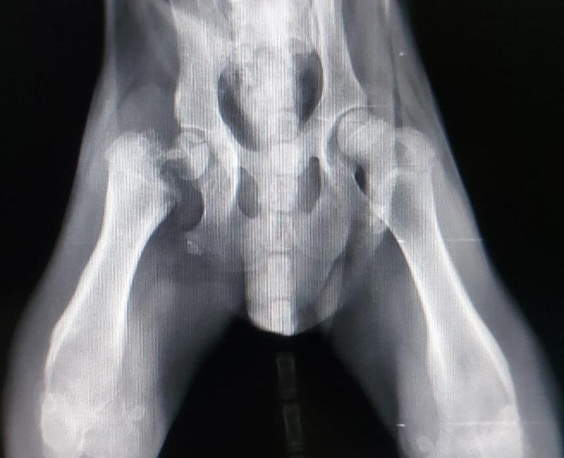
Ya le habían realizado placas y necesita una operación, puesto que tiene dos lesiones diferentes. Hay una osteolísis de la cabeza femoral derecha y una osteodistrofia hipertrófica de las epífisis distales de ambos fémures. Así que tenemos que extirpar la cabeza del fémur de una de las patas.

Es un cachorro adorable, feliz, alegre y súper cariñoso.

Una vez operado será puesto en adopcion, ¿quieres ser tú su compañer@ de vida?.

03 Junio de 2021: Kangaroo ya pasó por quirófano para retirarle la cabeza del fémur, por una malformación le estaba dando mucho la lata. El pobre no tiene nada de masa muscular pero esta con la mejor de las acogidas que podía tener: ¡una de sus veterinarias!. Le está haciendo rehabilitación e hidroterapia. Seguro que esa pata se pone perfecta en 4 días.

Pero no penséis que Kangaroo no hace una vida normal, es más, uno de los comentarios de la acogida es que no conocía a ningún perro que hubiera cansado a mi perra, jajajajaja. El juega, corre, salta.... no tiene ninguna limitación.

Si estas interesado en adoptar, amadrinar, o cualquier duda escribe a lahuellaroja.almeria@gmail.com